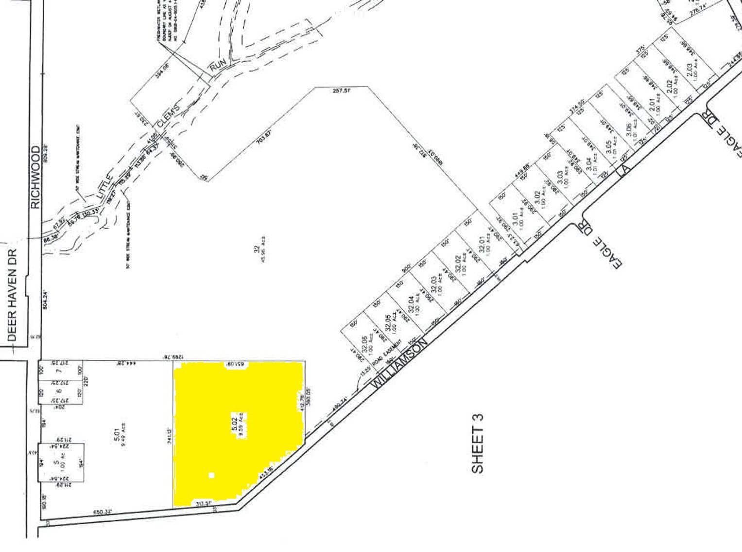
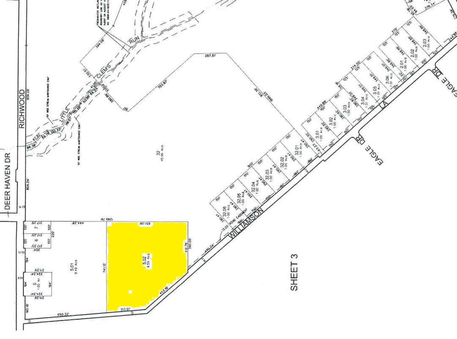
Prime 9.59 +/- acre lot with restrictive deed of easement for agricultural preservation with about 765 +/- feet of road frontage on Williamson Lane in Harrison Township. Soil types are predominantly Downer loamy sand. Invest in your future today. Close proximity to Route 322, SR 55 and Route 77. Note - land is deed restricted and to be used for agricultural use only.


